Quelques jours de vacances en famille à Rangiroa
Il aurait été dommage de venir en Polynésie sans explorer une autre île d’un autre archipel. Grâce au salon du tourisme, nous avons pu avoir des prix intéressants. Nous fixons le cap sur Rangiroa, dans l’archipel des Tuamotu, essentiellement pour profiter de la plongée apparemment unique. Anabelle a pris quelques jours de vacances, cela nous fait plaisir puisque jusqu’à présent nous la voyions peu, étant la seule à travailler dans la maison ! Pour vous rendre compte de la taille de la Polynésie, une carte de Air Tahiti superpose les liaisons aériennes avec la carte de l’Europe.

Anabelle habitant sur Moorea, il nous faut d’abord prendre le bateau avant de rejoindre l’aéroport de Papeete. Ca bouge un peu plus que d’habitude, nous dégustons les cakes préparés par Sophia la veille. Faire à manger nous manquait un peu en Asie, nous essayons de nous rattraper. A l’arrivée du bateau, nous partons tous les deux à pied à l’aéroport afin d’économiser quelques francs, pendant que la petite famille y va en taxi avec nos bagages. Après enregistrement, nous montons dans l’avion par le tarmac.


Du haut de l’avion, nous apercevons déjà une île qui n’est déjà plus qu’une bande de sable. Petit cours de géologie : au début il y a un volcan qui émerge (comme les îles Marquises), puis celui-ci s’affaisse au fur et à mesure du temps, un récif apparaît tout autour de celui-ci, ce qui crée un lagon (comme à Tahiti et Moorea). Puis le volcan s’affaisse définitivement au centre, et laisse uniquement la bande de sable autour.

Malheureusement pour Elisa, nous avons deux escales avant d’atteindre Rangiroa. Malgré les tentatives de détournement d’attention, le voyage est difficile.


Nous étions venus pour la plongée à Rangiroa avec Anabelle, et bien nous avons été servis ! Il y avait une probabilité que nous voyions des requins-marteaux, des dauphins, des requins gris de récifs. Eh bien nous avons vu tout ça, et même un requin citron de 4 mètres. Bien que ce soit des bêtes inoffensives, quand le requin citron passe à 10 mètres environ, on a quand même envie de rester calme. Il dégage une impression de tranquillité mais surtout une réserve de puissance. Mais l’un des évènements les plus marquants est l’observation du mur de requins : plusieurs centaines se situent à l’angle du récif, il y en a partout devant vous. On a bien du rester 10 minutes à observer ce spectacle magnifique. La visibilité à Rangiroa est exceptionnelle, on peut se retrouver au milieu du grand bleu, on croirait voler. La seule chose qui manque à mon « palmarès » de plongée ce sont les raies mantas. Va falloir revenir…
- Plongeur N°1 : Anabelle – Niveau : PADI Advanced
- Plongeur N°2 : Thibault – Niveau : PADI Open Water
- Requin pointe noire
- Dauphin qui est venu nous rejoindre pendant la plongée, d’une taille de 4 mètres environ et très joueur, il tournait autour de nous sous l’eau : magique !
- Fanny, notre Dive Master, qui a réussi à attirer le dauphin vers nous ! Apparemment c’est un habitué des lieux.
- Impression unique au milieu du grand bleu avec une visibilité à plus de 50 mètres.
- Napoléon d’une taille de 1,5 m environ. Y’aurait pas mal à manger !
- Des carangues et un napoléon tournent autour de nous. Apparemment on ne les intéresse pas du tout : ils cherchent du poulpe en gang.
- Carangues en rang d’oignon !
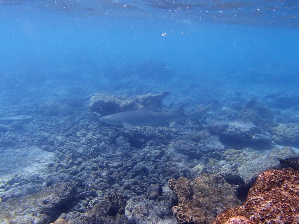
Le fameux mur de requins.
Avec cette visibilité et cette faune aquatique dense, Sophia n’est pas en reste juste devant la pension. Il faut par contre faire attention aux courants pour ne pas se faire emporter au large. En effet, les ouvertures entre le lagon et le large s’appellent des passes, et le courant à l’intérieur varie en fonction des marées, comme si le lagon était une immense baignoire qui se vide et se remplit deux fois par jour.
- Requin pointe noire
- Requin gris de récif, à l’air encore moins sympathique
- Requin dormeur, même pas peur
- Murène javanaise, on fait pas le malin non plus
- Banc de perches pagaies
- Banc de sergents major, je crois
- Poisson-papillon réticulé
- Poisson-papillon à selle noire
- Poisson-ange peau de citron
- Poisson-pincette jaune
- Poissons-papillon citron
- Chirurgien pintade
- Poisson-papillon de Bennett
- Tetrodon moucheté
- Tétrodon moucheté jaune
- Poisson lime gribouillé
- Turbot bien caché
- Toc toc, qui est là ?
- Coquillages « Porcelaine ». Oui, je les ai tous laissés là où je les ai trouvés (dans chaque il y avait un habitant à l’intérieur)
- On va l’appeler le corail-cervelle
En fin d’après-midi, nous allons observer les dauphins au niveau de la passe : ils jouent littéralement avec les vagues formées par le courant. La vie sur les îles n’est-elle pas magique ?



Mais que vois-je ? Sophia en tenue de plongée ? Et Tama aussi ?


Après avoir conté à Sophia tout ce que l’on pouvait apercevoir sous l’eau, et l’avoir convaincue que la liberté de l’équipement de plongée apporte énormément par rapport au snorkeling, elle accepte que je lui offre un baptême de plongée pour son anniversaire (oui, celui de mars dernier). Cela faisait quelques mois que je faisais du lobbying, apparemment ça a payé ! Quoi de mieux que de le faire ici au milieu des requins pointe noire et des perches pagaies, dans une eau tellement translucide qu’on l’appelle l’aquarium.


Juste avant ça, Sophia avait fait une sortie snorkelling avec Colette en se laissant porter par le courant entrant dans la passe. Elle reste un peu sur sa faim, le snorkeling devant la pension permettant de voir autant de choses, voire plus.


Avant de partir nous en profitons pour visiter une ferme perlière. Elles sont situées uniquement dans les îles, puisque l’eau doit être pure afin d’obtenir de bonnes perles. Si vous voulez vous lancer, il va falloir patienter 9 ans avant d’avoir vos premières perles, autant dire une éternité. Les greffeurs de perle sont très prisés localement, puisque c’est leur savoir-faire et leur technique qui va donner la qualité à la perle. Pour faire simple, on greffe à une huître une petit bille de nacre qui vient du Japon, et celle-ci va la recouvrir de sa nacre. Les perles obtenues ne sont jamais tout à fait rondes ni uniformes, le prix est lié à ces critères de qualité.
- Les bassins pour les huîtres. Elles ne restent pas ici, mais sont plongées au large à 10 ou 15 mètres de profondeur.
- Un greffeur. Anabelle a l’air intriguée !
- Faire un choix n’est pas évident, chaque perle est unique.
Nous repartons des Tuamotu enchantés, c’est passé tellement vite ! L’arrivée sur Tahiti est elle aussi magnifique. Il nous faut reprendre le bateau pour Moorea, il ne nous reste qu’une dizaine de jours en Polynésie, sachons en profiter. Il me reste quelques photos à publier pour votre plus grand plaisir 🙂
- La pension bien fleurie.
- Pendant que certains nagent, d’autres font la sieste.
- Vestige téléphonique
- La vue en revenant sur Tahiti




































